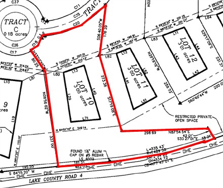
Lot 10

Home Photos Maps Lots Sales Documents Owner Login

 

 

 

  Sold  


To Print  Maps :
Right Click on Map, Click "Print Picture"

Red Lined box indicates
Lot Boundary

Black Lined box indicates
Building Envelope

 

PDF File of Elk Trail Final Plat

 

 
Home Photos Maps Lots Sales Documents Owner Login
Copyright © 2019 Elk Trail Owners Association  Leadville, Colorado 80461 
All photos Copyright Bill Klauber LLC

 

Web Design by Crescent Design